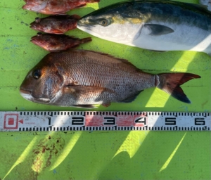
3月10日の釣果! 2023 3/10 三河ボート 2023.03.10 今日もタイラバで釣れました。ブリにカサゴに60センチの大鯛と沢山釣れました。1人でのレンタルだったので満足の釣果ですね。鯛が釣れる様になってきたのでこれからが楽しみですね!お疲れ様でした😊 60センチの大鯛 80センチのブリ 三河ボート カサゴ タイラバ ブリ 三河ボート 三河湾 伊勢湾 大鯛 愛知県レンタルボート 西尾市レンタルボート 青物 鯛 よかったらシェアしてね! URL Copied! URL Copied! 3月9日の釣果! 3月11日の釣果! 関連記事 今日、日間賀島漁協の方達がわざわざ三河ボートまで来てくださり釣り場禁止区域の説明をしてくれました。私も漁師ですので区域の事、違反の事、自分達の生活を守る事など良く分かります。三河ボートを利用して下さるお客さんもご理解の程宜しくお願いします。ホームページにも禁止区域を載せてありますので確認して下さい。分からない方は電話予約の際聞いて下さい。 2022.04.14 7月13日の釣果! 2024.07.13 今日は一日中良い天候でした。皆さんそれなりに釣果ありましたね^_^ 2021.12.29 5月11日の釣果! 2024.05.11 5月4日の釣果! 2025.05.04 8月10日の釣果! 2024.08.10 6月12日の釣果! 2024.06.12 日間賀島漁業協同組合 区画漁業権地区図 2022.04.14